15 December, 2025, 2:58 am Central - 23°C Rain

Very destructive winds as TC Winston continues to intensify

Very destructive winds as TC Winston continues to intensify

By Fijivillage Team
20/02/2016

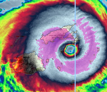
Tropical Cyclone Winston continues to strengthen as the eye of the cyclone makes its way between Viti Levu and Vanua Levu.

The eye of the category 5 cyclone, was located 175 kilometres North East of Suva earlier this afternoon.

Winds have intensified in a number of areas in Viti Levu and Vanua Levu.

We have been getting reports from a number of residents in Savusavu and Nabouwalu that they are getting the full brunt of Cyclone Winston.

Close to the centre, the cyclone is estimated to have average winds of 230 kilometres per hour to 325 kilometres per hour.

Please be advised that very destructive winds will begin several hours before the cyclone centre passes overhead or nearby.

Please be advised that people living in Viti Levu, Vanua Levu, Taveuni, Ovalau, Gau, Batiki, Nairai, Koro, Vanuabalavu, Yacata, Mago, Cicia, Tuvuca, Nayau and Vanuavatu will have very destructive hurricane force winds with average speed of 220 kilometres per hour to 315 kilometres per hour.

Also expect destructive winds Yasawa and Mamanuca.

A heavy rain warning is also in force.

On this track, the cyclone is expected to be located about 65 kilometres South East of Yasawa-i-Rara or about 80 kilometres North East of Nadi at 1am tomorrow.

Stay with us as we will bring you continuous weather updates on Tropical Cyclone Winston.

Situation Report:

At least 10 families are currently stranded at the Daria post office in Wainunu, Bua after they left their houses fearing that the roofs would be blown away by strong winds.

They have been at the post office for two hours now.

Sathu Nair says there is no evacuation centre near the area and flood waters are starting to rise.

The nearest evacuation centre is the Yadua Community hall which is about 20 kilometres from their location.

He is asking people who are close to the area to help them.

There are also reports of flooding in some other areas in Bua.

This includes Wailevu, Dawara, Vuadomo, Nacavadi, Yadua.

Seven houses in Waiyevo village in Taveuni have being badly damaged by strong winds.

Five of these houses had their roof tops blown away and the affected families are now sheltering at the Waiyevo community hall.

A total of seven evacuation centers have been opened in Taveuni and there are fifteen families sheltering at Holy Cross Primary School while three families are at the Tavuki village Hall.

These families also had their houses damaged this morning.

Savusavu and nearby settlements have also been experiencing destructive hurricane force winds since about 9 o’clock this morning.

Many residents have told us that they are still experiencing severe winds in Savusavu and Nabouwalu.

Earlier today Commissioner Northern, Jovesa Vocea says Labasa town was closed from 2pm and people are advised to stay indoors.

People can call 9908947 for assistance for the Northern Division.

Four DISMAC teams are on stand-by to provide assistance.

Vocea says the water level at the Labasa River has increased.

He says many power lines are broken and they have received information that some houses are damaged.

The eye of the cyclone is just near Savusavu at this point however the system is so large that it is now covering the whole Viti Levu, Vanua Levu, Taveuni, Lomaiviti, Ovalau, Kadavu and parts of Lau.  

Those living in the low‑lying areas are advised to move to higher ground.

The National Disaster Management Office has opened all its 758 evacuation centres around the country.

You can contact us on 3314766 for the list of evacuation centres.

Please make your assessment now and move to a safe shelter if you believe that you could get affected later this afternoon into tonight. Do not leave things to the last minute.

During cyclones, there are water and power cuts.

Please make the necessary preparations.

Tropical Cyclone Winston hit Vanuabalavu early this morning.

A resident in Vanuabalavu spoke to Legend FM News via a satellite phone from Nabavatu and said that some houses were badly damaged early this morning and people rushed to other houses to seek shelter.

She said that her house which was one of the most significant structures on the island was destroyed early this morning.

She has termed Tropical Cyclone Winston as a terrible monster. It is not a system that many people in Fiji are familiar with as it is a large system with very destructive winds and a lot of rain.

There is also confirmation that three houses in Tubou village in Lakeba had their rooftops blown away by strong winds this morning.

Four other houses in the village were badly damaged.

Tubou villager, Ilaitia Delaimoala says the families are now staying at Tubou village hall.

National Disaster Management Office Director Akapusi Tuifagalele says the Emergency Committee is currently meeting to discuss ways to effectively accommodate the needs of the people that have been affected by Cyclone Winston so far.

Tuifagalele says due to the current weather condition, people in Vanuabalavu and the nearby islands cannot be reached at this stage.

Meanwhile, he says police and the military will be supervising all evacuation centres in the country to ensure the safety of everyone at the centres.

The Land Transport Authority says all public transportation including buses, taxis, mini buses and carriers should cease movement at 5pm today for public safety.

FEATURE NEWS
TD03F to impact Fiji from tomorrow night as centre of system expected to enter Fiji waters on Tuesday
People are urged to remain vigilant and prepare, as the effects of Tropical Depression TD03F are expected to be felt from tomorrow night, as the centr...
12 hours ago
LATEST NEWS
Two gunmen open fire at Bondi Chanukkah event, 10 confirmed dead
A gunman has been shot dead and another is being treated after opening fire on Bondi beach, killing 10 people in what is believed to be a targeted ...
6 hours ago

Southern Division records 30% decline in serious crime
The Southern Division of the Fiji Police has recorded reductions in crime during the first quarter of the 2025–2026 financial year, highlighting ...
10 hours ago

Raiwai man arrested for aggravated robbery outside Milverton Road Top Shop this morning
A 23 year old man residing in Raiwai was arrested and taken into custody, in relation to an aggravated robbery case in Raiwaqa this morning.The ...
10 hours ago

Fiji Museum to host 2 day Bakanawa canoe making holiday programme from tomorrow
The Fiji Museum is hosting a 2-day Bakanawa Canoe Making Holiday Programme starting from tomorrow aimed at providing children and youths with a ...
11 hours ago

Barbara O'Neill and Dr Rajesh Maharaj to appear on fijivillage Straight Talk at 7pm Wednesday
Naturopath and nutritionist, Barbara O'Neill and former President of Fiji College of General Practitioners and General Practitioner with special ...
12 hours ago



Stay tuned for the latest news on our radio stations

CFL radio frequencies
IN DEPTH
Sonia Shanaaz says silent treatment hurts as she waits for assistance for her daughter with cerebral palsy
Sonia Shanaaz, the mother of 10-year-old Aarna who was born with cerebral palsy, says silent treatment hurts after she reached out to the ...
3 days ago

I do not support police officers being charged on public opinions and without evidence - COMPOL
Commissioner of Police Rusiate Tudravu says he will stand by his officers, and he does not support any officer being charged based on public opinion ...
3 days ago

Dubai 7s 2025
The Fiji Airways Men’s National 7s side are working on their fitness as they prepare for the start of the 2025/2026 World 7s Series this ...
7 days ago

TOP